This will be the final race update for MAFF 2025! Please read Race Updates #1 and #2 and #3 if you have not already done so at www.maffadventurerace.com
Please read the details below carefully and look through all the materials on https://www.maffadventurerace.com/
Registered Teams:
Please check out the registered teams at the bottom of the following page: https://runsignup.com/RaceGroups/124722
Please ensure you are in the correct race length and category.
Arrive Early:
Please come as early as possible in line with check-in start times to setup, review your maps, and plan your day.
Bike Drop (3 hour course):
The bike drop location for the 3-hour race is at TA1: Lake Nagawicka Boat Launch, 651 WI-83, Hartland, WI 53029. We recommend you enter on Mariner Drive (go West on Mariner Driver off of Highway 83). Take Mariner to the Lake Nagawicka Boat Launch parking lot rather than driving through Nagawaukee Park (Waukesha County Park system).
The 3 hour bike drop opens at 8:30am on Saturday morning.
https://maps.app.goo.gl/8R2BWU2pm7ncNjDMA

Race Update #4 (tomorrow) will include an aerial map showing the specific location as well as times for when the bike drop opens on Saturday morning. Bikes and personal paddle gear can be dropped at this location.
All other gear for 3 hour racers should be brought to Race HQ (Trecker Lodge at Lapham Peak State Park).
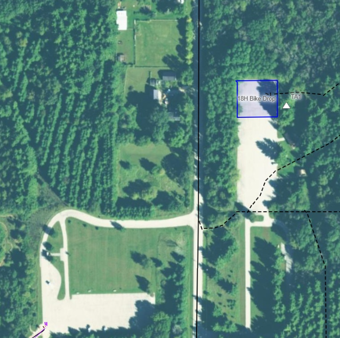
Bike Drop (18 hour course):
The bike drop location for the 18-hour race is the Nordic Trails Shelter, N9084 County Rd H, Whitewater WI 53190.
The 18 hour bike drop opens at 7pm on Friday night.
https://maps.app.goo.gl/f5KudUaGwtujnU1n6

Bike Drop (8 hour course):
The bike drop location for the 8-hour race is the Emma Carlin Trailhead, Co Rd Z, Palmyra, WI 53156.
The 8 hour bike drop opens at 6am on Saturday morning.
https://maps.app.goo.gl/DVURbUDbqRN9u1QS9

If this is your first race, PLEASE read and re-read all materials and join our pre-race virtual briefing.
We’re excited to see all of you out there on the course!
Mike and Ben
